Działka, Smochowice
Smochowice, Poznań, wielkopolskie
- 1 100 000 zł
- 4 320 m²
- 254,63 zł/m²
Działka, Smochowice
Smochowice, Poznań, wielkopolskie
zaktualizowane:
27 marca 2018
Działka, Smochowice
Zaktualizowane: 27 marca 2018
1 100 000 zł 4 320 m² 254,63 zł/m²
-
droga asfaltowa
prostokąt
gaz, prąd, woda, kanalizacja
Rodzaj działki:
-Dojazd:
droga asfaltowaKształt:
prostokątMedia:
gaz, prąd, woda, kanalizacjaSzczegóły ogłoszenia
- Typ oferty: działka na sprzedaż
- Cena: 1 100 000 zł (254,63 zł/m²)
- Forma własności: własność
- Działka: 4 320 m²
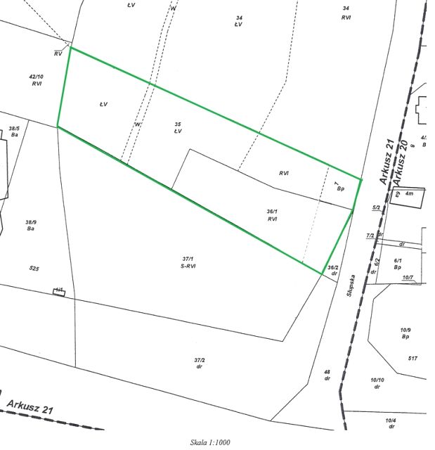
- kształt: prostokąt; długość: 108m; szerokość: 40m; teren zróżnicowany
- dojazd drogą asfaltową, działka nieogrodzona
- określone warunki zabudowy
- Media: prąd, woda miejska / wodociąg, gaz, kanalizacja (działka uzbrojona)
- Źródło: biuro nieruchomości: NIERUCHOMOŚCI ALEKSANDER BŁASZCZYK, zaktualizowane: 27.03.2018
- numer ogłoszenia: 187/4142/OGS
Lokalizacja
- Adres: Smochowice, Poznań, wielkopolskie
Opis nieruchomości
Oferujemy do sprzedaży teren składający się z dwóch niezabudowanych działek geodezyjnych o numerach 36/1 i 35, o łącznej powierzchni 4320m2, przewidzianych w planie zagospodarowania przestrzennego pod zabudowę usługową, położony w Poznaniu przy ul. Słupskiej. Maksymalna powierzchnia zabudowy nie większa niż 50% powierzchni terenu, powierzchnia biologicznie czynna nie mniej niż 40% (UCHWAŁA NR XLVI/698/VI/2013 RADY MIASTA POZNANIA z dnia 26 lutego 2013 r. (...)

